Huracán "Rosa" se debilita, vuelve a categoría 3; podría tocar tierra en BC como tormenta tropical
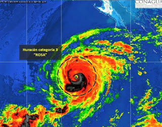
Ciudad de México(NDS).- El huracán “Rosa” pasó de categoría 4 a 3 en la escala Saffir-Simpson, al Suroeste de la Península de Baja California, informó la Comisión Nacional del Agua(Conagua).
De acuerdo al organismo, a las 4:00 horas (hora de la ciudad de México), se ubicaba a 1,005 kilómetros al Suroeste de Cabo San Lucas, B.C.S., y a 735 kilómetros al Oeste de Isla Socorro con vientos máximos sostenidos de 195 km/h y rachas de 240 km/h.
Sus bandas nubosas favorecen el potencial de tormentas fuertes a puntuales intensas en los estados de Baja California Sur, Sinaloa, Nayarit, Jalisco y Colima.
Si el pronóstico continúa igual “Rosa” podría tocar tierra como tormenta tropical durante la noche del 01 de octubre o la madrugada del martes en Baja California.
Además, se recomendó a la población atender las recomendaciones de Protección Civil y estar atento a la información que se estará emitiendo en las próximas horas.
